“隐翅虫剧毒致命”真相大揭秘
夏季高温多雨,湿热天气让蚊虫也活跃起来。清明假期前后,一条“全球发出警示!隐翅虫,在你身上时绝对不要打,它身上有毒液,接触到皮肤,就死定了!”的微信开始在朋友圈病毒式传播,令很多人感到恐惧。这一喜好在灯光下活动并不叮咬人类的虫子真的有那么毒吗?遇到隐翅虫到底怎么办?
专家提醒,遇到隐翅虫确实要手下留情,因为它的体液具有一定的毒性。
1. 隐翅虫伤人事件屡有报道
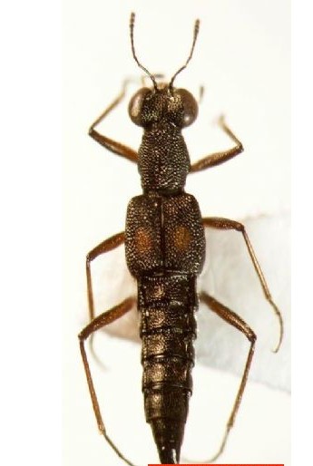
隐翅虫又被称为“影子虫”,鞘翅很短,腹部全裸,乍看像没有翅膀,故名“隐翅虫”。属昆虫纲,鞘翅目,隐翅虫科。归属节肢动物门,长有六条腿。全世界包括3200多个属,约46200种,并且每年以300-400个品种的速度增加,但并非全部有毒。毒隐翅虫多数细长,体小,身长0.6~0.8厘米。毒隐翅虫的发育为完全变态。生活史有卵、幼虫(两龄)、蛹和成虫4期。幼虫无翅,形似成虫。有些大型种类有美丽的黑色和黄色,像胡蜂;有的外形和行为均像兵蚁。颜色鲜艳的为毒隐翅虫。一般身体为橘黄色,头、胸及尾部为铁青色,也被称为“青蚂蚁”。隐翅虫广布世界各地,在全国各地都很常见,南方地区包是隐翅虫的重要分布地,而北方则较少。
隐翅虫生长于潮湿草地里,树林、禾苗、泥土等处均是其栖息的场所。其生物学特性为昼伏夜出,趋光性极强,常在晚上飞入有灯火的地方,食腐败的植物与腐烂的动物,也吃蚜虫、飞虱等越冬害虫,算是一种“益虫”。毒隐翅虫还有一个特点,就是向高性,总是喜欢飞向高处,其爬行速度很快,飞进室内后便在天花板、墙壁上、家具、衣物表面、人体上四处爬行,使人染病。进入室内的毒隐翅虫能耐饥数日,使人体不断受到损害,其身体中含有一种强酸性毒素,pH值一般不超过3。
毒隐翅虫不是新发现的虫子,咬人也不是新鲜事。因隐翅虫毒液引发的隐翅虫皮炎是夏秋季多发的皮肤病症。毒隐翅虫伤人事件在国内很多媒体上都有过报道,前几年夏季,广西、湖南、湖北等南方各省媒体均有毒隐翅虫伤人事件报道,普遍症状较轻,根本就不像微博或微信上说的那样被咬之后就“死定了”,因此公众没有必要惊慌。
2. 遇到隐翅虫不要用手直接拍,淡定吹走即可
“你不伤它,它也不会伤你“。隐翅虫只有少数种类有“毒”,即毒隐翅虫亚科和少部分种类。但毒隐翅虫并不会“蜇人”,它们造成人体皮肤过敏、中毒反应的原因是隐翅虫体内有“隐翅虫素”,其为强酸性,存在于隐翅虫的体内,属于它们的防御机制。只有其身体被破坏时,这种毒素才会溢出。
隐翅虫的毒害并非虫体螫咬人体所致,而是由虫体内所含的刺激性毒素隐翅虫素造成的。隐翅虫素附着皮肤后会产生缓慢痊愈的坏死性红斑。隐翅虫在皮肤上爬行时,就会从关节腔中分泌出体液(富含隐翅虫素),而引起皮肤病变,造成线状的病灶;当虫体被打死或捻碎时,则会造成毒液大量溅出,形成糜烂的局面。
遇到隐翅虫不要用手直接拍。虽然隐翅虫的体外没有毒腺,不会蜇人,但是体内有毒液,被打死后毒液会流出来。一旦毒素进入体内,会使得皮肤产生过敏反应,出现条状或者斑状的红肿,一般来说,一周左右这种症状就会消失,不会留下后遗症。因此,有人说的“万一身上有这虫,用嘴巴轻轻吹走就好,绝对不要用手打。还是有一定科学根据的。
如果把隐翅虫成体弄破,使其毒液触及人体皮肤,的确会引起人体表皮红肿。严重时,当表皮破损,可能发生溃烂。但要说隐翅虫危及生命,这是不正确的。只有过敏体质人群当中的极少数人,可能在遭遇该虫之后,因严重过敏而有生命危险。普遍而言,这种虫子不会引发死亡。
3. 如何预防毒隐翅虫的伤害
与蚊子咬的包相比,毒隐翅虫咬的包可以说是“又辣又疼”。如果不小心接触到它的体液,可用肥皂水、苏打水等碱性物质中和,用清水冲洗干净后可涂抹炉甘石洗剂,如果严重的应尽快到正规医院接受治疗,避免造成更严重的皮肤感染。
如何预防毒隐翅虫的伤害,夏季睡觉应关好门窗。假如有纱窗的要尽量关严,纱窗眼粗隐翅虫可以从纱窗缝隙中进入屋内,因此必须关窗。
务必关灯睡觉。由于隐翅虫具有很强的向光性,因此入室之后尽量少开灯,或者在灯下放一盆盐水,利用隐翅虫的趋光性捕杀之。另外,关灯睡觉前检查床上是否有隐翅虫。
采取各种驱蚊措施。家中可备溴氢菊酯或奋斗呐类杀虫剂对室内和四周环境进行喷洒杀虫。离家时,可在屋内喷洒杀虫剂以杀死进屋的隐翅虫。
随身携带风油精。隐翅虫在遇到风油精时会立即毙命,甚至是500ml水内加入2—3滴风油精,隐翅虫也会在一分半钟内毙命。
保持室外整洁。要及时清除房屋四面的朽木、废料、杂草,让隐翅虫无孳生场所和栖息地。
如果到郊区游玩,要做好必要的防护,尽量穿长袖衣裤;还可以喷洒一些驱蚊剂,以起到预防毒隐翅虫叮咬的作用。
另外近段时间雷雨天气较多,雨后积水容易孳生蚊虫,则要特别提醒有小孩的家庭,更应注意防蚊虫。除了选用防蚊虫叮咬的产品,如花露水、蚊帐等,还要注意不要在草地里久待,尤其雨后不要坐在草坪里。
文/图 中心应急办 刘富强
相关链接:





